Terrain constructible Talmont-Saint-Hilaire 770 m2

— Talmont-Saint-Hilaire 85440 —
150 000 €
770 m²
jardin

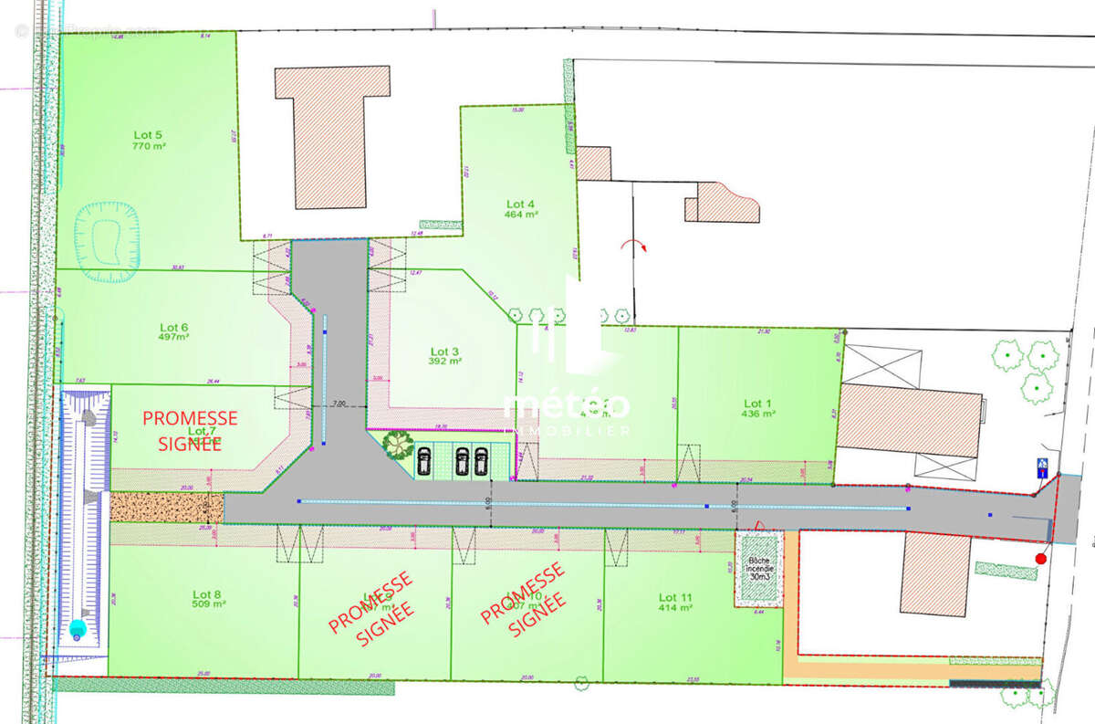
Vous rêvez de calme et de proximité avec la mer ? Ce terrain viabilisé de 770m² est l'emplacement parfait pour votre future maison. Situé en lotissement à Talmont-Saint-Hilaire, terrain libre de constructeur, vous permettant de profiter de la douceur de vivre vendéenne : le bourg et ses commerces sont à 5 minutes, tandis que l'ambiance marine de Port Bourgenay vous attend à seulement un quart d'heure. Le terrain est déjà viabilisé pour faciliter vos démarches. Un achat serein pour une vie de famille épanouie. Autres terrains disponibles : lot 1 : 436 mètres carrés, 106 000 euros HAI. lot 2 : 436 mètres carrés, 106 000 euros HAI. lot 3 : 392 mètres carrés, 96 000 euros HAI. lot 4 : 464 mètres carrés, 108 000 euros HAI. lot 6 : 497 mètres carrés, 111 000 euros HAI. lot 11 : 414 mètres carrés, 101 000 euros HAI. Demandez votre visite dès aujourd'hui !
Voir plus

Honoraires à la charge du vendeur.
Barème des honoraires
Terrain à TALMONT-SAINT-HILAIRE
Terrain à TALMONT-SAINT-HILAIRE
Terrain à TALMONT-SAINT-HILAIRE
Géorisques

Les informations sur les risques auxquels ce bien est exposé sont disponibles sur le site Géorisques : www.georisques.gouv.fr

Ce site est protégé par hCaptcha Politique de confidentialité et Conditions d’utilisation s’appliquent.

En poursuivant votre navigation sans modifier vos paramètres, vous acceptez l'utilisation de cookies susceptibles de réaliser des statistiques de visite. Cliquez ici pour plus d'informations