Bénéficiez des services de nos partenaires locaux soigneusement sélectionnés
pour vous accompagner dans votre parcours d'achat immobilier

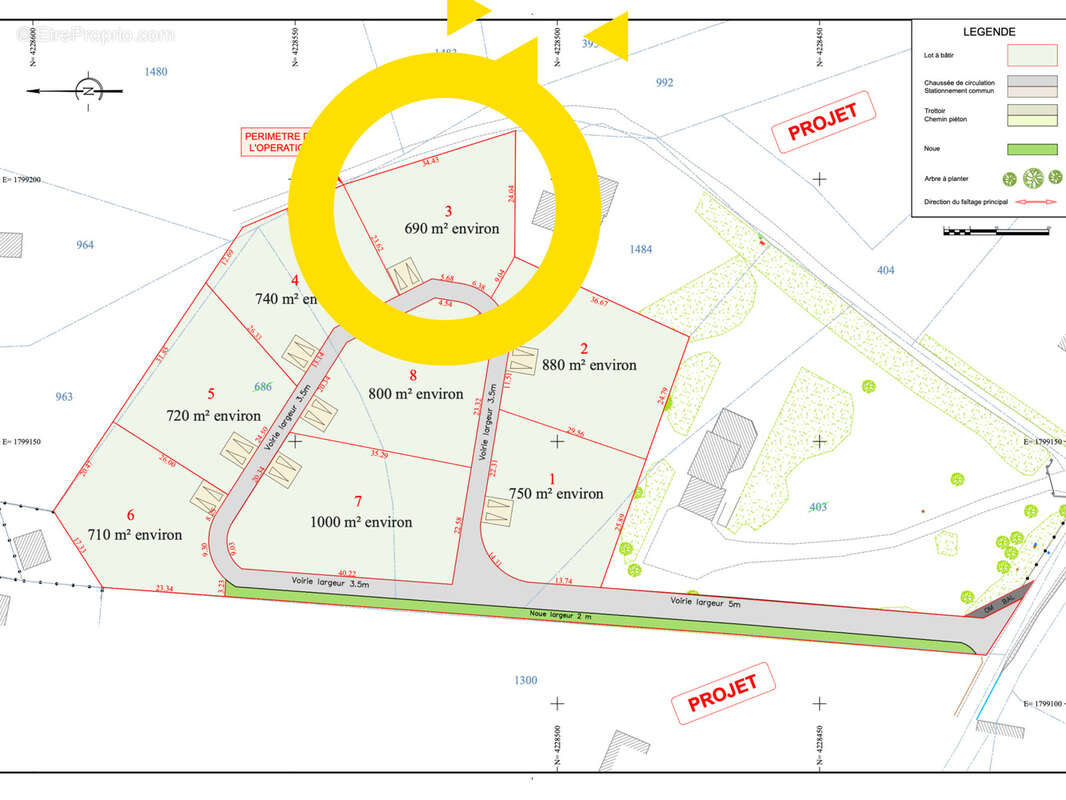
Terrain viabilisé 690 m2 à Saint-Pal-de-Mons

— Saint-Pal-De-Mons 43620 —
62 000 €
690 m²
jardin

Nos partenaires locaux
En exclusivité, située au sein d’un nouveau lotissement agréable, cette parcelle de terrain de 690 m2 constitue une belle opportunité pour concrétiser votre projet de construction.
Le terrain est entièrement viabilisé : tous les raccordements nécessaires (eau, électricité, télécoms, tout-à-l’égout) sont prévus, vous permettant d’envisager votre projet sereinement. Il est libre de constructeur, ce qui vous laisse une totale liberté dans le choix de votre projet et de votre constructeur.
Son emplacement offre un cadre de vie équilibré, adapté à un projet de résidence principale ou familial, dans un environnement calme et agréable.
Une opportunité à saisir pour bâtir la maison qui vous ressemble.
Pour plus de renseignements, n’hésitez pas à me contacter, Justine, au [Coordonnées masquées]. Les informations sur les risques auxquels le bien est exposé sont disponibles sur le site Géorisques : www.georisques.gouv.fr
Voir plus

Référence: 2432
Honoraires à la charge du vendeur.
Barème des honoraires
Terrain à SAINT-PAL-DE-MONS
Terrain à SAINT-PAL-DE-MONS
Terrain à SAINT-PAL-DE-MONS
Terrain à SAINT-PAL-DE-MONS
Terrain à SAINT-PAL-DE-MONS
Géorisques

Les informations sur les risques auxquels ce bien est exposé sont disponibles sur le site Géorisques : www.georisques.gouv.fr

Ce site est protégé par hCaptcha Politique de confidentialité et Conditions d’utilisation s’appliquent.