Bénéficiez des services de nos partenaires locaux soigneusement sélectionnés
pour vous accompagner dans votre parcours d'achat immobilier

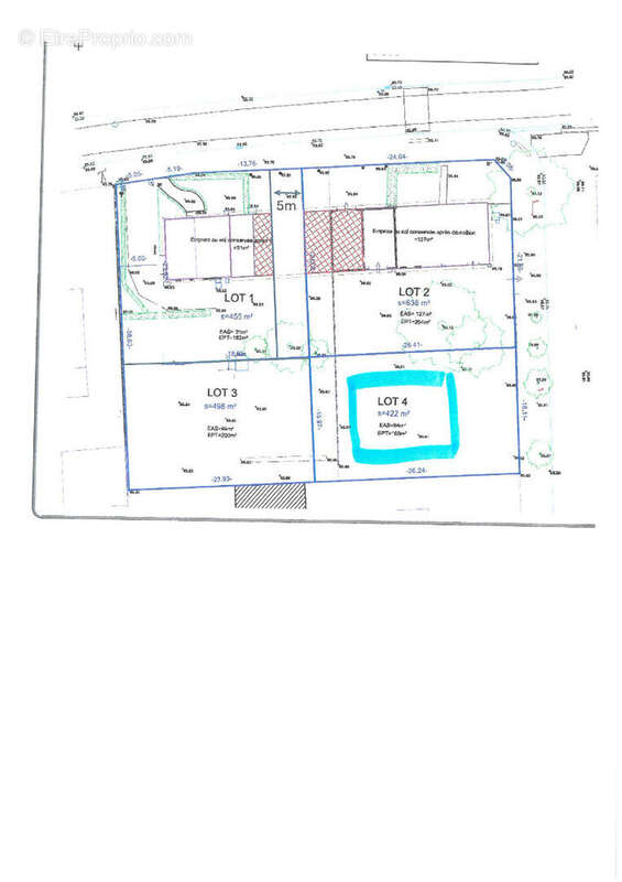
Terrain 422m² à saint-denis-en-val

— Saint-Denis-En-Val 45560 —
139 650 €
422 m²
jardin

Nos partenaires locaux
Proche Centre Terrain à bâtir de 422 m² au calme dans la verdure
Emprise au sol 84 m² possibilité d'un étage.
Construction 125m² en R +1
Non viabilisé et constructeur libre

Référence: 24239
Terrain à SAINT-DENIS-EN-VAL
Terrain à SAINT-DENIS-EN-VAL
Terrain à SAINT-DENIS-EN-VAL
Terrain à SAINT-DENIS-EN-VAL
Terrain à SAINT-DENIS-EN-VAL
Géorisques

Les informations sur les risques auxquels ce bien est exposé sont disponibles sur le site Géorisques : www.georisques.gouv.fr

Ce site est protégé par hCaptcha Politique de confidentialité et Conditions d’utilisation s’appliquent.

En poursuivant votre navigation sans modifier vos paramètres, vous acceptez l'utilisation de cookies susceptibles de réaliser des statistiques de visite. Cliquez ici pour plus d'informations