Bénéficiez des services de nos partenaires locaux soigneusement sélectionnés
pour vous accompagner dans votre parcours d'achat immobilier

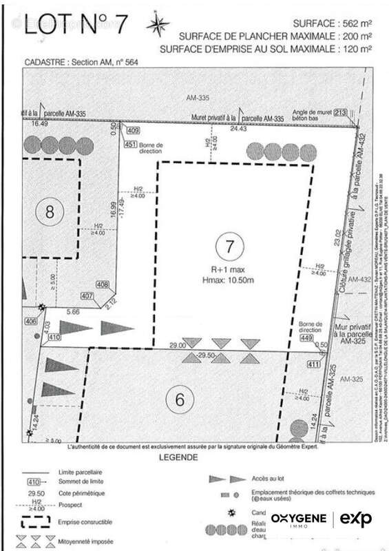
Terrain 562 m² à Villelongue-De-La-Salanque

— Villelongue-De-La-Salanque 66410 —
172 000 €
562 m²

Nos partenaires locaux
Nous vous accueillons par téléphone du lundi au samedi, de 8h à 19h, parce que votre projet n'attend pas !

Imaginez un matin ensoleillé, le chant des oiseaux comme réveil naturel et le doux parfum des pins flottant dans l'air. Vous quittez votre maison pour quelques minutes et, déjà, vous vous retrouvez sur la voie rapide, direction Perpignan, ou sur le sable doré de la plage de Canet-en-Roussillon pour un après-midi de détente.

C'est exactement ce que propose ce terrain de 562 m² à vendre à Villelongue-de-la-Salanque. Niché dans un lotissement récent, au calme et à deux pas de tout, il offre la liberté de construire la maison de vos rêves.

Parcelle viabilisée et constructible sur trois faces, vous pourrez choisir le constructeur qui vous ressemble et imaginer votre futur chez-vous.
Le terrain est prévu pour une construction R+1, avec une surface au sol de 120 m² et un potentiel total de 200 m² habitables, parfait pour accueillir famille et amis dans le confort.

Ici, chaque projet prend vie et chaque journée rime avec sérénité et accessibilité : mer, commerces et axes routiers à proximité immédiate.
Venez découvrir ce super terrain, où chaque pierre pourrait raconter votre histoire.

Possibilité d'acquérir en plus le terrain attenant d'environ 400m2.

Ouvert à l'inter-agence.

Anthony FERDINAND
Agent commercial en immobilier indépendant
RSAC : 929 486 173 E.I

Honoraires à la charge du vendeur. Les informations sur les risques auxquels ce bien est exposé sont disponibles sur le site Géorisques : georisques.gouv.fr.

Votre conseiller eXp Realty (Oxygène IMMO) : Anthony FERDINAND
Agent commercial (Entreprise individuelle)
RSAC 929486173
RCP 035465
Voir plus

Référence: VT4124-EXPFRANCE
Honoraires à la charge du vendeur.
Barème des honoraires
Terrain à VILLELONGUE-DE-LA-SALANQUE
Terrain à VILLELONGUE-DE-LA-SALANQUE
Terrain à VILLELONGUE-DE-LA-SALANQUE
Terrain à VILLELONGUE-DE-LA-SALANQUE
Géorisques

Les informations sur les risques auxquels ce bien est exposé sont disponibles sur le site Géorisques : www.georisques.gouv.fr

Ce site est protégé par hCaptcha Politique de confidentialité et Conditions d’utilisation s’appliquent.