Bénéficiez des services de nos partenaires locaux soigneusement sélectionnés
pour vous accompagner dans votre parcours d'achat immobilier

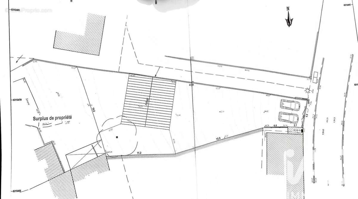
Terrain 386 m² à Noisy-Sur-Oise

— Noisy-Sur-Oise 95270 —
110 000 €
386 m²

Nos partenaires locaux
Iad France - Rodolf Lasnier vous propose : Terrain à bâtir 386 m² - Façade 12,50 m - Secteur recherché

Situé dans un cadre particulièrement qualitatif de Noisy-sur-Oise, ce terrain à bâtir de 386 m² offre une belle opportunité pour un projet de construction sur mesure.

Implanté dans un environnement préservé et harmonieux, il bénéficie d'un cadre rare sur le secteur, idéal pour une résidence principale de qualité.

Caractéristiques :
- Façade de 12,50 m
- Terrain en pente, permettant des projets avec sous-sol ou architecture adaptée
- 1 construction possible

Les + :
- Terrain borné par géomètre
- Étude de sol G1 réalisée
- Réseaux en bordure (électricité, eau, tout-à-l'égout, eaux pluviales)
- Environnement calme, cadre soigné

Accompagnement projet :
Une implantation de construction a déjà été étudiée avec une partenaire constructrice, permettant aux acquéreurs de se projeter rapidement sur un projet concret et optimisé au terrain.

Ce bien s'adresse à des acquéreurs à la recherche d'un emplacement avec du cachet et un vrai potentiel de valorisation.

-

Rodolf Lasnier - iad France
Votre conseiller immobilier Sud Oise & Porte de Paris
Avis de valeur offert en Île-de-France et dans l'Oise
Partage d'affaires bienvenu

Honoraires d'agence à la charge du vendeur.
Bien non soumis au DPE. Les informations sur les risques auxquels ce bien est exposé, y compris l'obligation légale de débroussaillement, sont disponibles sur le site Géorisques : http://www.georisques.gouv.fr.
La présente annonce immobilière a été rédigée sous la responsabilité éditoriale de M Rodolf Lasnier mandataire indépendant en immobilier (sans détention de fonds), agent commercial de la SAS I@D France immatriculé au RSAC de COMPIEGNE sous le numéro 913393831, titulaire de la carte de démarchage immobilier pour le compte de la société I@D France SAS.Informations LOI ALUR : Honoraires charge vendeur. (gedeon_6727_33095371)
Voir plus

Référence: 1999704
Honoraires à la charge du vendeur.
Barème des honoraires
Photo 1 - Terrain à NOISY-SUR-OISE
Photo 1
Photo 2 - Terrain à NOISY-SUR-OISE
Photo 2
Photo 3 - Terrain à NOISY-SUR-OISE
Photo 3
Photo 4 - Terrain à NOISY-SUR-OISE
Photo 4
Photo 5 - Terrain à NOISY-SUR-OISE
Photo 5
Photo 6 - Terrain à NOISY-SUR-OISE
Photo 6
Géorisques

Les informations sur les risques auxquels ce bien est exposé sont disponibles sur le site Géorisques : www.georisques.gouv.fr

Ce site est protégé par hCaptcha Politique de confidentialité et Conditions d’utilisation s’appliquent.

En poursuivant votre navigation sans modifier vos paramètres, vous acceptez l'utilisation de cookies susceptibles de réaliser des statistiques de visite. Cliquez ici pour plus d'informations