Bénéficiez des services de nos partenaires locaux soigneusement sélectionnés
pour vous accompagner dans votre parcours d'achat immobilier

Lotissement de 5 terrains a batir

— Annet-Sur-Marne 77410 —
170 000 €
700 m²
jardin

Nos partenaires locaux
5 TERRAINS A BÂTIR VIABILISES, CONSTRUCTEUR LIBRE,
LOT No1 = Terrain de 719 m2 façade de 22.50 m emprise au sol de 60 m2 VENDU AU PRIX :195 000 €
LOT No2 = Terrain de 307 m2 façade de 11.61m, emprise au sol de 62m2 VENDU AU PRIX DE : 170 000€
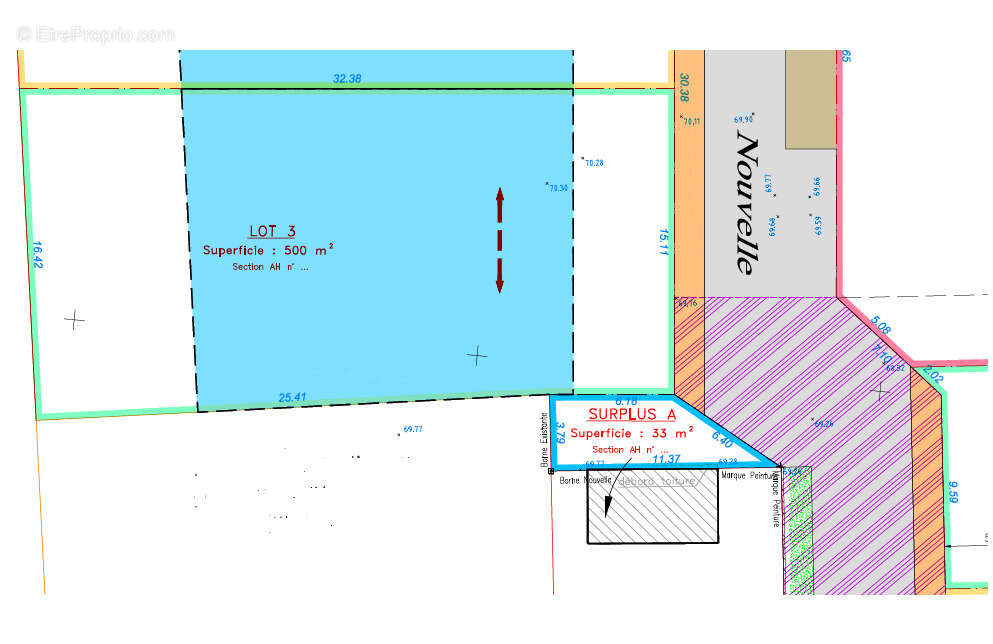
LOT No3 = Terrain de 500 m2 façade de 15.11m, emprise au sol de 100m2 VENDU AU PRIX DE : 185 000€
LOT No4 = Terrain de 500 m2 façade de 15.27m, emprise au sol de 100m2 VENDU AU PRIX DE : 185 000€
LOT No5= Terrain de 518 m2 façade de 11.08m, emprise au sol de 80 m2 VENDU AU PRIX DE : 200 000€
En pleine propriété, Zone UC.
N'hésitez pas à nous contacter au [Coordonnées masquées] pour plus de renseignements
Voir plus

Prêt immobilier

Vous souhaitez connaître votre capacité d’emprunt et trouver le meilleur crédit immobilier ?
Réaliser une simulation gratuite

Terrain à ANNET-SUR-MARNE
Terrain à ANNET-SUR-MARNE
Terrain à ANNET-SUR-MARNE
Terrain à ANNET-SUR-MARNE
Terrain à ANNET-SUR-MARNE
Terrain à ANNET-SUR-MARNE
Terrain à ANNET-SUR-MARNE
Terrain à ANNET-SUR-MARNE
Terrain à ANNET-SUR-MARNE
Ce site est protégé par reCAPTCHA la Politique de confidentialité et les Conditions d’utilisation de Google s’appliquent.
Obtenir un prêt immobilier au meilleur taux ?

En poursuivant votre navigation sans modifier vos paramètres, vous acceptez l'utilisation de cookies susceptibles de réaliser des statistiques de visite. Cliquez ici pour plus d'informations