Beau terrain plat constructible de 1.956 m2 proche sancy

— Messeix 63750 —
25 000 €
1 965 m²
jardin

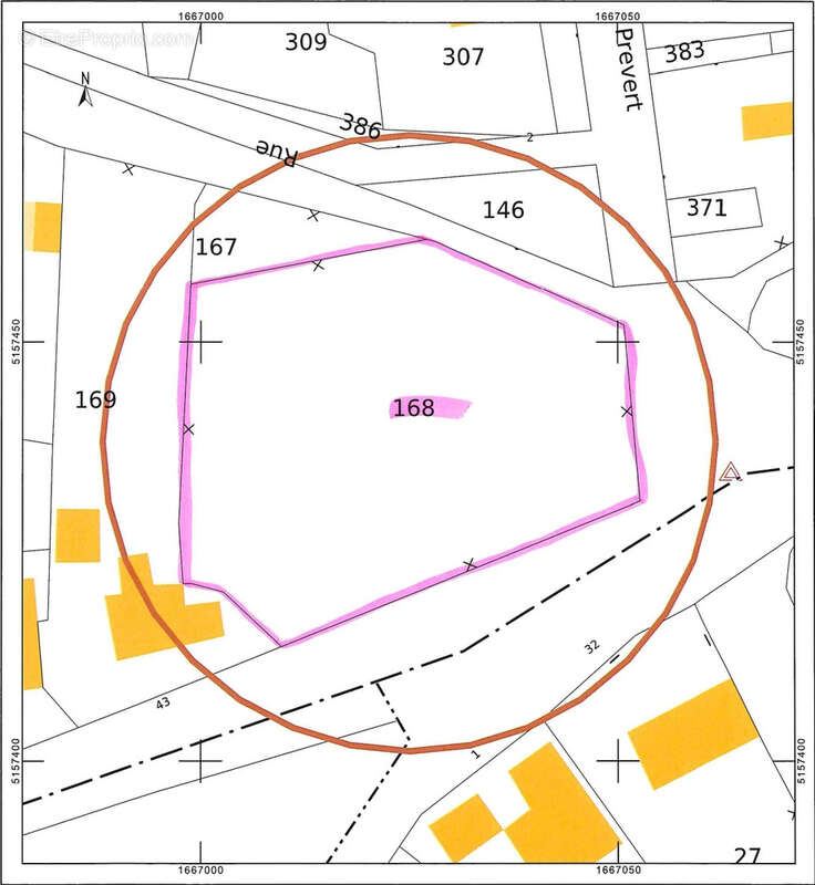
Le Cabinet Charpy (Thermale de Gestion) vous présente en exclusivité ce beau terrain constructible de 1.956 m2 (parcelle cadastrée ZO 168).
 
Il est situé à Bogros, à 3 min des commerces du bourg de Messeix (boulangerie, superette, agence postale, bar, tabac), à 15 min de la ville thermale de La Bourboule et de l'A89, et à 30 min des pistes de ski et des chemins de randonnées du Massif du Sancy.
 
Ce terrain est clôturé, il présente une topographie plate, possède à un accès à la route, avec les viabilités en bordure de parcelle (eau, électricité, téléphone, tout à l'égout).
 
Pas de PLU mais règlement national d'urbanisme en vigueur. Mise en relation et devis pour une construction neuve sur demande.
 
Notre conseiller sécurise et vous accompagne dans votre projet immobilier, contactez-nous pour de plus amples d'informations.

CABINET CHARPY - THERMALE DE GESTION - Agence experte dans la vente de biens immobiliers sur le Massif du Sancy et Clermont-Ferrand.
Voir plus

Référence: 1984
Honoraires d'agence de 13.64% à la charge de l'acquéreur
Barème des honoraires

Prêt immobilier

Vous souhaitez connaître votre capacité d’emprunt et trouver le meilleur crédit immobilier ?
Réaliser une simulation gratuite

Terrain à MESSEIX
Terrain à MESSEIX
Terrain à MESSEIX
Terrain à MESSEIX
Terrain à MESSEIX
Terrain à MESSEIX
Ce site est protégé par reCAPTCHA la Politique de confidentialité et les Conditions d’utilisation de Google s’appliquent.
Obtenir un prêt immobilier au meilleur taux ?

En poursuivant votre navigation sans modifier vos paramètres, vous acceptez l'utilisation de cookies susceptibles de réaliser des statistiques de visite. Cliquez ici pour plus d'informations