Bénéficiez des services de nos partenaires locaux soigneusement sélectionnés
pour vous accompagner dans votre parcours d'achat immobilier

Maison seniors

— Issoire 63500 —
179 000 €
70 m² / 80 m²
3 pièces
parkingbalcon/terrassejardinaccès handicapé

Nos partenaires locaux
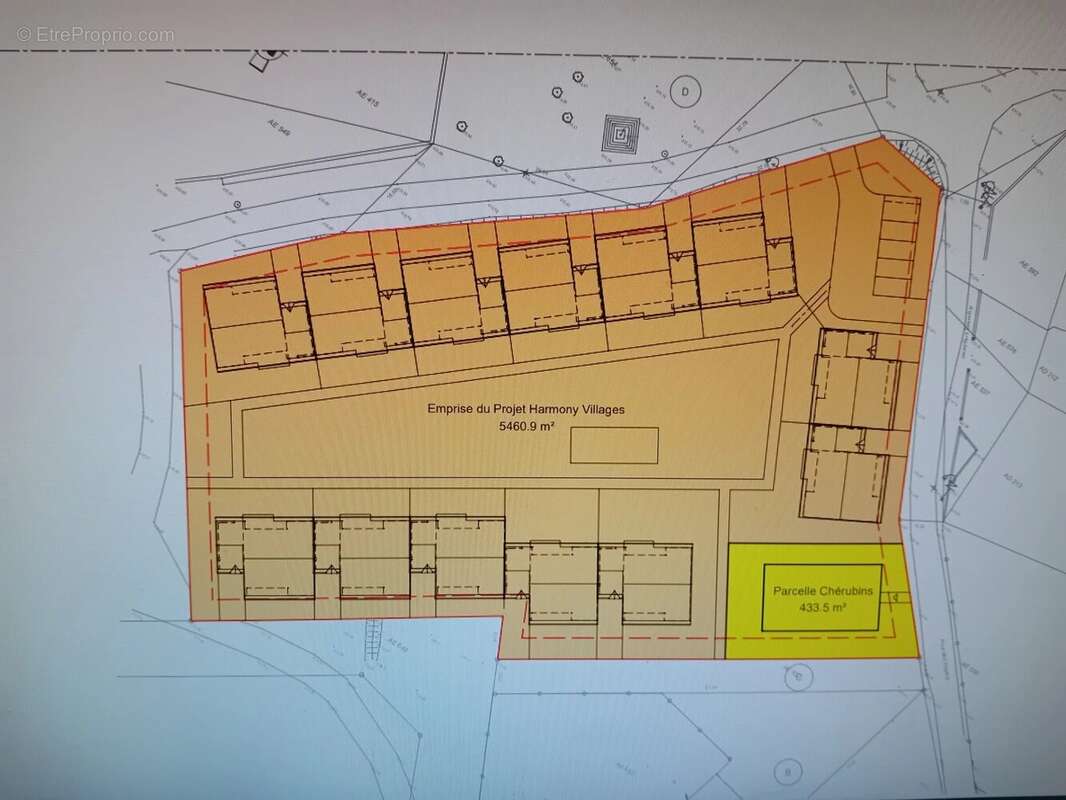
A 30 minutes du centre de Clermont Ferrand, dix minutes d'accès à l'autoroute A75, située sur la commune de Neschers, la création de ce groupe de logements pour seniors est une réelle alternative entre un habitat non adapté et une maison de retraite. Chaque logement d'une surface habitable de 70M2 disposera de deux chambres, une cuisine ouverte sur l'espace salle à manger, salon, une salle d'eau avec douche à l'italienne et WC. Il bénéficiera également d'une terrasse, d'un parking couvert de 20M2, et d'un de terrain d'agrément à usage de jardin, de pelouse ou d'espace fleuri. Une aire de promenade privative sera dédiée à l'ensemble des résidants de ce "village " de 13 logements séniors. Les services médicaux et d'aide à domicile sont dispensés par les structures locales. Enfin, la présence de l'école publique, le projet de création d'une micro crèche dédiée à la petite enfance de 0 à 3 ans en mitoyenneté du village Seniors font de cet ensemble un véritable projet intergénérationnel où il fera bon résider. Que vous soyez investisseurs pour du locatif ou comme futur résidant, alors n'hésitez pas contactez moi pour plus d'informations.
Voir plus

Référence: 85648597
Barème des honoraires
Maison à ISSOIRE
Maison à ISSOIRE
Maison à ISSOIRE
Maison à ISSOIRE
Maison à ISSOIRE
Géorisques

Les informations sur les risques auxquels ce bien est exposé sont disponibles sur le site Géorisques : www.georisques.gouv.fr

Ce site est protégé par hCaptcha Politique de confidentialité et Conditions d’utilisation s’appliquent.

En poursuivant votre navigation sans modifier vos paramètres, vous acceptez l'utilisation de cookies susceptibles de réaliser des statistiques de visite. Cliquez ici pour plus d'informations