Bénéficiez des services de nos partenaires locaux soigneusement sélectionnés
pour vous accompagner dans votre parcours d'achat immobilier

St aubin des bois

— Saint-Aubin-Des-Bois 28300 —
90 400 €
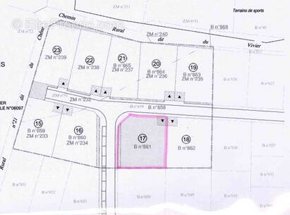
733 m²
jardin

Nos partenaires locaux
Venez découvrir ce lotissement avec terrains viabilisés. Ici le lot 17 pour une superficie de 733 m2. Comprend 2 places de parking exterieur. 

Référence: C815 LOT 17
Honoraires d'agence de 4.63% à la charge de l'acquéreur
Barème des honoraires

Prêt immobilier

Vous souhaitez connaître votre capacité d’emprunt et trouver le meilleur crédit immobilier ?
Réaliser une simulation gratuite

Ce site est protégé par reCAPTCHA la Politique de confidentialité et les Conditions d’utilisation de Google s’appliquent.
Obtenir un prêt immobilier au meilleur taux ?

En poursuivant votre navigation sans modifier vos paramètres, vous acceptez l'utilisation de cookies susceptibles de réaliser des statistiques de visite. Cliquez ici pour plus d'informations