Franconville (95) - terrain à bâtir - 490m²

— Franconville 95130 —
199 000 €
490 m²

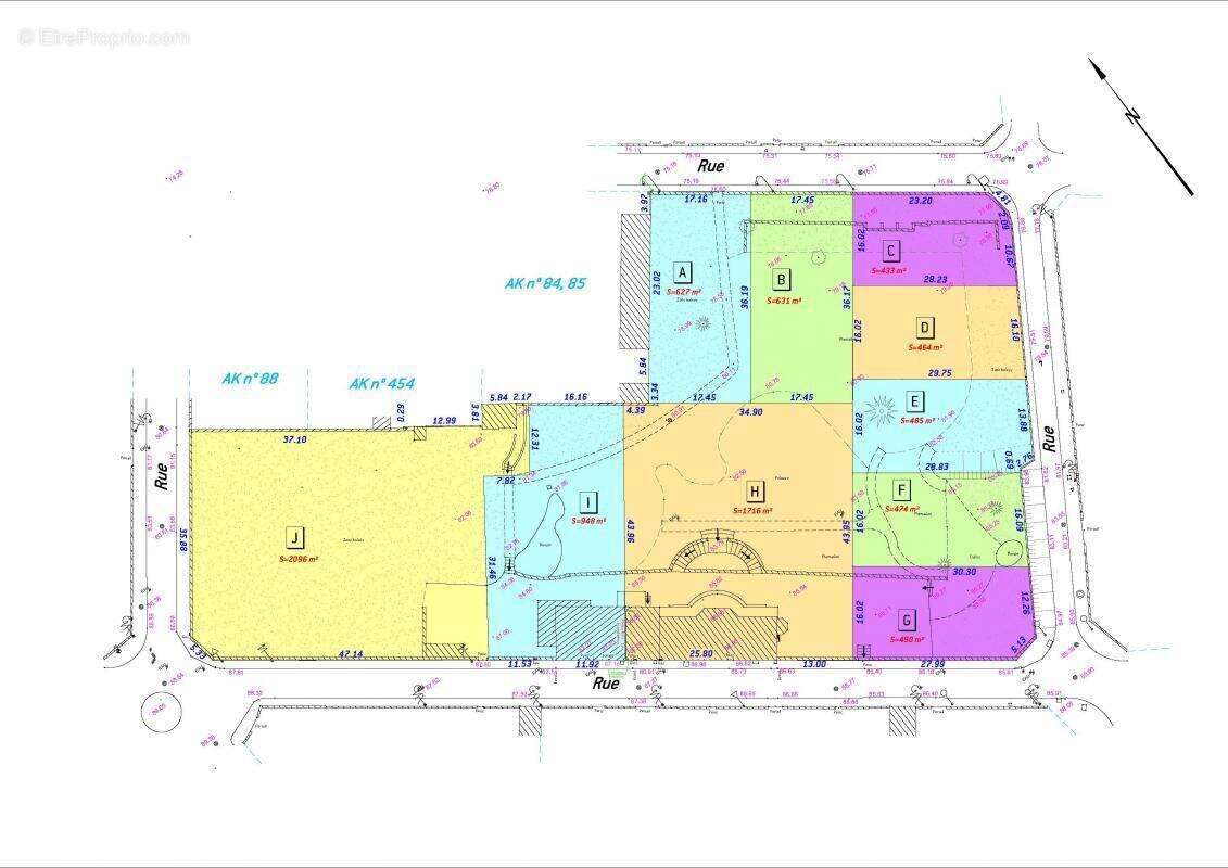
Franconville-la-Garenne – 3 terrains prêts à bâtir
Saisissez l'opportunité de créer votre maison sur-mesure sur l'un de ces 3 terrains de 474 à 490 m², chacun avec façade d'environ 16 m sur rue, en zone UI et hors périmètre des Bâtiments de France.
Certificat d'urbanisme opérationnel et étude de sol G1 disponible sur demande.
Vos options de construction :
* Implantation en retrait minimum de 5 m par rapport à l'alignement
* Possibilité de s'implanter sur une limite ou en retrait (4 m si la façade vis-à-vis de la limite séparative ne comporte aucune ouverture créant des vues)
* Hauteur maximale : 8 m au faîtage
Pourquoi ces terrains ?
* Accès rapide aux écoles, commerces et transports
* Environnement agréable
* Opportunité rare dans un secteur recherché
Infos pratiques :
Plan de géomètre disponible sur demande ou en téléchargement sur notre site.
Un ERRIAL (Etat des Risques Réglementés pour l'Information des Acquéreurs et des Locataires) et les informations sur les risques auxquels ce bien est exposé, sont disponibles sur le site Géorisques : www. georisques. gouv. fr ou transmis sur demande

Contactez: Anne-Charlotte au [Coordonnées masquées] pour plus d'informations et organiser une visite.
Voir plus

Référence: 2757
Honoraires à la charge du vendeur.

Prêt immobilier

Vous souhaitez connaître votre capacité d’emprunt et trouver le meilleur crédit immobilier ?
Réaliser une simulation gratuite

Terrain à FRANCONVILLE
Terrain à FRANCONVILLE
Terrain à FRANCONVILLE
Terrain à FRANCONVILLE
Ce site est protégé par reCAPTCHA la Politique de confidentialité et les Conditions d’utilisation de Google s’appliquent.
Obtenir un prêt immobilier au meilleur taux ?

En poursuivant votre navigation sans modifier vos paramètres, vous acceptez l'utilisation de cookies susceptibles de réaliser des statistiques de visite. Cliquez ici pour plus d'informations