1. Accueil
  2. > Terrains à vendre
  3. > Val-d'Oise (95)
  4. > Franconville

Terrains à vendre à FRANCONVILLE (95)

Terrain à FRANCONVILLE
Terrain 433m² à franconville
FRANCONVILLE
jardin
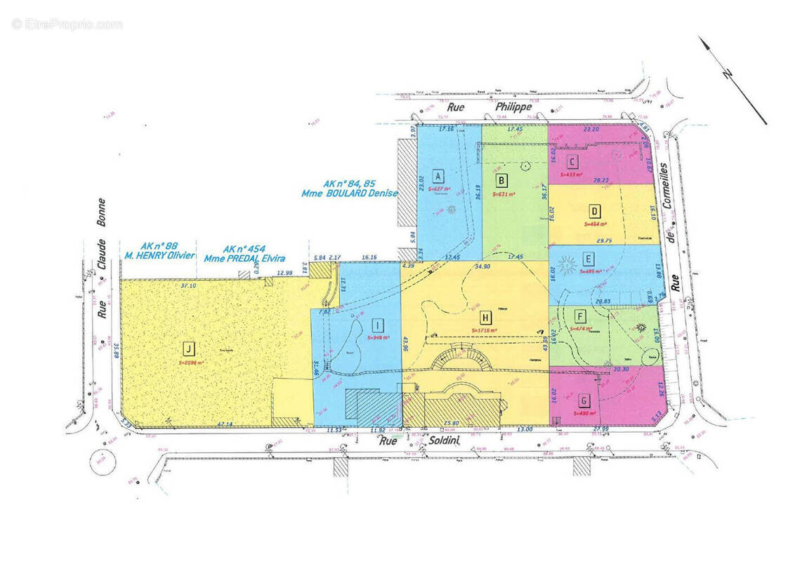
VENTE d'un terrain de 433 m² à Franconville EMPLACEMENT PRIVILÉGIÉ À Franconville (95130) à quelques minutes du RER C (station Franconville-Le Plessis-Bouchard, 25 min de Paris), venez dé ...
169 000 €
MAISONS BALENCY Baillet-en-France
Terrain à FRANCONVILLE
Franconville - centre-ville
FRANCONVILLE
jardin
Au sein du quartier l'Hôtel de Ville à FRANCONVILLE, nous vous proposons 1 terrain de 433 m², qui bénéficie d'un emplacement de choix dans un environnement pavillonnaire calme. Avec des ...
169 000 €
BMC IMMOBILIER
Terrain à FRANCONVILLE
Franconville - centre-ville
FRANCONVILLE
jardin
Au sein du quartier l'Hôtel de Ville à FRANCONVILLE, nous vous proposons 3 terrains de 474 m², 485 m² et 464 m², qui bénéficient d'un emplacement de choix dans un environnement pavillonn ...
199 000 €
BMC IMMOBILIER
Terrain à FRANCONVILLE
Franconville - centre-ville
FRANCONVILLE
jardin
Au sein du quartier recherché de l'Hôtel de Ville à Franconville-la-Garenne, nous avons le plaisir de vous proposer 2 terrains de 627 m² et 631 m², qui bénéficient d'un emplacement privi ...
229 000 €
BMC IMMOBILIER
Terrain à FRANCONVILLE
Franconville (95) - terrain à bâtir - 490m²
FRANCONVILLE
Franconville-la-Garenne – 3 terrains prêts à bâtir Saisissez l'opportunité de créer votre maison sur-mesure sur l'un de ces 3 terrains de 474 à 490 m², chacun avec façade d'environ ...
199 000 €
Vendez Votre Maison
Terrain à FRANCONVILLE
Franconville (95) - terrain à bâtir - 433m²
FRANCONVILLE
À vendre – Terrain constructible à Franconville-la-Garenne Terrain de 433 m² avec façade d'environ 16 m sur rue, en zone UI et hors périmètre des Bâtiments de France. Règles d'implanta ...
169 000 €
Vendez Votre Maison
Terrain à FRANCONVILLE
Franconville (95) - terrain à bâtir - 631m²
FRANCONVILLE
À vendre – Rare terrain de 631 m² à Franconville-la-Garenne, avec façade de plus de 17 m En zone UI et hors périmètre des Bâtiments de France, ce terrain dispose d'un certificat d'urban ...
229 000 €
Vendez Votre Maison
Terrain à FRANCONVILLE
Terrain 630m² à franconville
FRANCONVILLE
jardin
Projet de construction sur terrain de 630 m² à vendre à Franconville IDÉALEMENT SITUÉ À Franconville (95130) à deux pas du RER C (station Franconville-Le Plessis-Bouchard, 25 min de Paris), im ...
270 000 €
MAISONS FRANCE CONFORT Moisselles
Terrain à FRANCONVILLE
Franconville (95) - terrain à bâtir - 464m²
FRANCONVILLE
À vendre – Terrain de 464 m² à Franconville-la-Garenne, avec une façade sur rue d'environ 16 m Situé en zone UI du PLU actuellement en vigueur sur la commune et hors du périmètre des Bâtimen ...
189 000 €
Vendez Votre Maison
Terrain à FRANCONVILLE
Terrain 625m² à franconville
FRANCONVILLE
jardin
Projet de construction sur terrain de 625 m² à vendre à Franconville IDÉALEMENT SITUÉ À quelques minutes de la station Franconville-Le Plessis-Bouchard du RER C (25 min de Paris) à Franconvill ...
270 000 €
MAISONS FRANCE CONFORT Moisselles
Terrain à FRANCONVILLE
Terrain à bâtir de 433 m² à franconville (95)
FRANCONVILLE
Prix : 189000 €. Sur ce terrain de 433 m² à FRANCONVILLE, MAISONS SESAME vous propose de réaliser votre projet de construction de maison individuelle. Maisons Sésame propose de construire votr ...
189 000 €
Maisons Sésame EAUBONNE
Terrain à FRANCONVILLE
Terrain 631m² à franconville
FRANCONVILLE
jardin
Terrain de 631 m² en vente à Franconville QUARTIER RECHERCHÉ Grand terrain à côté du RER C (station Franconville-Le Plessis-Bouchard, 25 min de Paris autoroute A115 à deux pas). De 631 m², ce ...
260 000 €
MAISONS FRANCE CONFORT Moisselles
Terrain à FRANCONVILLE
Terrain 430m² à franconville
FRANCONVILLE
jardin
VENTE : terrain de 430 m² à Franconville IDÉALEMENT SITUÉ Proche de la station Franconville-Le Plessis-Bouchard (Paris à 25 min par le RER C) à Franconville (95130), terrain de 430 m². Il est ...
199 000 €
MAISONS FRANCE CONFORT Moisselles
Terrain à FRANCONVILLE
Terrain 630m² à franconville
FRANCONVILLE
jardin
Franconville : terrain de 630 m² à vendre EMPLACEMENT PRIVILÉGIÉ À quelques minutes du RER C (station Franconville-Le Plessis-Bouchard, 25 min de Paris) à Franconville (95130), grand terrain. ...
270 000 €
MAISONS BALENCY Baillet-en-France
Terrain à FRANCONVILLE
Terrain 490m² à franconville
FRANCONVILLE
jardin
Franconville : terrain de 490 m² à vendre IDÉALEMENT SITUÉ À quelques minutes de la station Franconville-Le Plessis-Bouchard (Paris à 25 min par le RER C) à Franconville (95130), terrain de 49 ...
250 000 €
MAISONS BALENCY Baillet-en-France
Terrain à FRANCONVILLE
Terrain 635m² à franconville
FRANCONVILLE
jardin
Terrain de 635 m² en vente à Franconville QUARTIER RECHERCHÉ À deux pas de la station Franconville-Le Plessis-Bouchard du RER C (25 min de Paris) à Franconville (95130), grand terrain. Il est ...
270 000 €
MAISONS BALENCY Baillet-en-France
Terrain à FRANCONVILLE
Terrain 500m² à franconville
FRANCONVILLE
jardin
Terrain de 500 m² en vente à Franconville QUARTIER RECHERCHÉ À côté de la station Franconville-Le Plessis-Bouchard du RER C (25 min de Paris) à Franconville (95130), terrain de 500 m². Il est ...
250 000 €
MAISONS BALENCY Baillet-en-France
Terrain à FRANCONVILLE
Terrain 631m² à franconville
FRANCONVILLE
jardin
Votre conseiller Maisons France Confort M.AKKUS Erkan est à votre disposition pour vous accompagner dans votre projet de construction de maison personnalisée. Nouveau! Projet de construction à Fra ...
260 000 €
MAISONS FRANCE CONFORT Conflans-Sainte-Honorine
Terrain à FRANCONVILLE
Terrain 770m² à franconville
FRANCONVILLE
jardin
Votre conseiller Maisons France Confort M.AKKUS Erkan est à votre disposition pour vous accompagner dans votre projet de construction de maison personnalisée. Nouveau! Projet de construction à Fra ...
230 000 €
MAISONS FRANCE CONFORT Conflans-Sainte-Honorine
Terrain à FRANCONVILLE
Terrain 433m² à franconville
FRANCONVILLE
jardin
Votre conseiller Maisons France Confort M.AKKUS Erkan est à votre disposition pour vous accompagner dans votre projet de construction de maison personnalisée. Nouveau! Projet de construction à Fra ...
199 000 €
MAISONS FRANCE CONFORT Conflans-Sainte-Honorine
Terrain à FRANCONVILLE
Terrain 379m² à franconville
FRANCONVILLE
jardin
Votre conseiller Maisons France Confort M.AKKUS Erkan est à votre disposition pour vous accompagner dans votre projet de construction de maison personnalisée. Nouveau! Projet de construction à Fra ...
179 500 €
MAISONS FRANCE CONFORT Conflans-Sainte-Honorine
Terrain à FRANCONVILLE
Terrain 490m² à franconville
FRANCONVILLE
jardin
Votre conseiller Maisons France Confort M.AKKUS Erkan est à votre disposition pour vous accompagner dans votre projet de construction de maison personnalisée. Nouveau! Projet de construction à Fra ...
240 000 €
MAISONS FRANCE CONFORT Conflans-Sainte-Honorine
Terrain à FRANCONVILLE
Terrain 490m² à franconville
FRANCONVILLE
jardin
Franconville : terrain de 490 m² à vendre IDÉALEMENT SITUÉ À Franconville (95130) à proximité de la station Franconville- Le Plessis -Bouchard du RER C (25 min de Paris), projetez la maison de ...
250 000 €
MAISONS FRANCE CONFORT Moisselles
Terrain à FRANCONVILLE
Terrain 627m² à franconville
FRANCONVILLE
jardin
Franconville : terrain de 627 m² à vendre IDÉALEMENT SITUÉ - VUE DÉGAGÉE À Franconville (95130) à côté du RER C (station Franconville-Le Plessis-Bouchard, 25 min de Paris), donnez vie à la mai ...
270 000 €
MAISONS BALENCY Baillet-en-France
Terrain à FRANCONVILLE
Terrain 380m² à franconville
FRANCONVILLE
jardin
Terrain de 380 m² en vente à Franconville QUARTIER RECHERCHÉ À Franconville (95130) à 920 m de la station Franconville-Le Plessis-Bouchard (Paris à 25 min par le RER C), découvrez ce terrain d ...
180 000 €
MAISONS BALENCY Baillet-en-France
Terrain à FRANCONVILLE
Terrain à bâtir de 433 m² à franconville (95)
FRANCONVILLE
Quartier de l'hôtel de ville, à 2 minutes à pied des commerces, situation exceptionnelle. Terrain en lot avant, d'une surface de 433² et 16 mètres de façade. Faites construire votre mais ...
199 000 €
Maisons Sésame CORMEILLES-EN-PARISIS
Terrain à FRANCONVILLE
Terrain 490m² à franconville
FRANCONVILLE
jardin
Franconville : terrain de 490 m² en vente Proche de la station Franconville-Le Plessis-Bouchard (Paris à 25 min avec le RER C) à Franconville (95130), terrain de 490 m². Réalisez-y votre projet ...
250 000 €
MAISONS BALENCY Baillet-en-France
Terrain à FRANCONVILLE
Superbe terrain de 433 m²
FRANCONVILLE
Vous rêvez de devenir propriétaire d'une maison qui vous ressemble vraiment ? C'est le moment ou jamais de vous lancer ! Sur un superbe terrain de 433m² situé à Franconville, Les Demeure ...
220 000 €
LDT CAUFFRY
Terrain à FRANCONVILLE
Superbe terrain de 631 m²
FRANCONVILLE
Vous rêvez de devenir propriétaire d'une maison qui vous ressemble vraiment ? C'est le moment ou jamais de vous lancer ! Sur un superbe terrain de 631m² situé à Franconville, Les Demeure ...
270 000 €
LDT CAUFFRY
Terrain à FRANCONVILLE
A vendre : terrain à bâtir de 427 m²
FRANCONVILLE
jardin
En exclusivité chez Guy Hoquet FRANCONVILLE, situé dans un quartier résidentiel calme et prisé des coteaux de Franconville, ce terrain offre un cadre de vie agréable, à la fois verdoyant et proche ...
149 000 €
Guy Hoquet FRANCONVILLE
Terrain à FRANCONVILLE
Terrain à bâtir de 370 m² à franconville (95)
FRANCONVILLE
Terrain plat , belle façade , lot avant, proche gare, commerces , écoles. Prix : 192000 €. Sur ce terrain de 370 m² à FRANCONVILLE, MAISONS SESAME vous propose de réaliser votre projet de constr ...
192 000 €
Maisons Sésame EAUBONNE
Obtenir un prêt immobilier au meilleur taux ?

En poursuivant votre navigation sans modifier vos paramètres, vous acceptez l'utilisation de cookies susceptibles de réaliser des statistiques de visite. Cliquez ici pour plus d'informations