Franconville (95) - terrain à bâtir - 433m²

— Franconville 95130 —
169 000 €
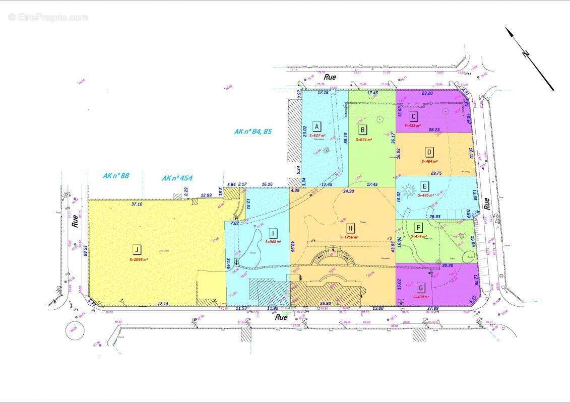
433 m²

À vendre – Terrain constructible à Franconville-la-Garenne

Terrain de 433 m² avec façade d'environ 16 m sur rue, en zone UI et hors périmètre des Bâtiments de France.

Règles d'implantation et constructions :

Implantation en retrait minimum de 5 m par rapport à l'alignement public

Possibilité de s'implanter sur une limite ou en retrait, avec une distance de 4 m de la limite séparative si la façade ne comporte aucune ouverture créant des vues

Hauteur maximale des constructions : 8 m au faîtage

Atouts :

Proximité des écoles, commerces et transports

Accès facile aux axes routiers principaux

Opportunité rare dans Franconville

Contact : Anne-Charlotte au [Coordonnées masquées]
Le plan de géomètre est téléchargeable sur notre site ou transmis sur demande.
Certificat d'urbanisme opérationnel et étude de sol G1 disponible sur demande.

Un ERRIAL (Etat des Risques Réglementés pour l'Information des Acquéreurs et des Locataires) et les informations sur les risques auxquels ce bien est exposé, sont disponibles sur le site Géorisques : www. georisques. gouv. fr.
Voir plus

Référence: 2786
Honoraires à la charge du vendeur.

Prêt immobilier

Vous souhaitez connaître votre capacité d’emprunt et trouver le meilleur crédit immobilier ?
Réaliser une simulation gratuite

Terrain à FRANCONVILLE
Terrain à FRANCONVILLE
Terrain à FRANCONVILLE
Terrain à FRANCONVILLE
Ce site est protégé par reCAPTCHA la Politique de confidentialité et les Conditions d’utilisation de Google s’appliquent.
Obtenir un prêt immobilier au meilleur taux ?

En poursuivant votre navigation sans modifier vos paramètres, vous acceptez l'utilisation de cookies susceptibles de réaliser des statistiques de visite. Cliquez ici pour plus d'informations