Bénéficiez des services de nos partenaires locaux soigneusement sélectionnés
pour vous accompagner dans votre parcours d'achat immobilier

Argenteuil 300m²

— Argenteuil 95100 —
193 000 €
300 m²

Nos partenaires locaux
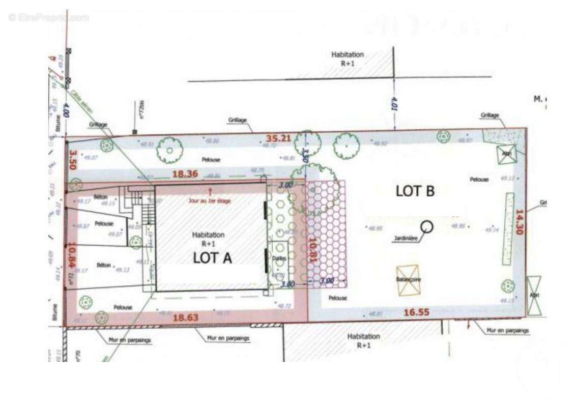
ARGENTEUIL, Dans le secteur limite Bezons nous vous proposons de venir découvrir à la vente un terrain d'une surface d'environ 300m² non viabilisé situé en arrière lot avec possibilité de construire un pavillon avec sous-sol rez de chaussée et 1er étage. Produit rare sur le marché à venir visiter au plus vite.

PHOTOS NON CONTRACTUELLES - TERRAIN PROPOSE PAR NOTRE PARTENAIRE FONCIER. L'agence LDT VILLAPOLIS est très active sur INSTAGRAM. Rejoignez @Home.LDT pour suivre nos chantiers, nos actus terrains, notre quotidien, nos offres exclusives….
A bientôt dans notre agence
Voir plus

Référence: 220915-113337_D1227998D

Prêt immobilier

Vous souhaitez connaître votre capacité d’emprunt et trouver le meilleur crédit immobilier ?
Réaliser une simulation gratuite

Terrain à ARGENTEUIL
Terrain à ARGENTEUIL
Ce site est protégé par reCAPTCHA la Politique de confidentialité et les Conditions d’utilisation de Google s’appliquent.
Obtenir un prêt immobilier au meilleur taux ?

En poursuivant votre navigation sans modifier vos paramètres, vous acceptez l'utilisation de cookies susceptibles de réaliser des statistiques de visite. Cliquez ici pour plus d'informations