Bénéficiez des services de nos partenaires locaux soigneusement sélectionnés
pour vous accompagner dans votre parcours d'achat immobilier

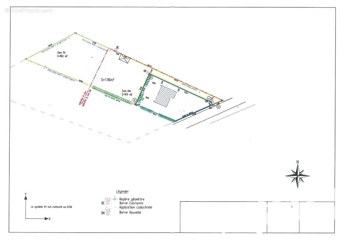
Terrain 1780 m² à Saint-Ave

— Saint-Ave 56890 —
200 000 €
1 780 m²

Nos partenaires locaux
Iad France - Stephanie Cardin vous propose : Situé dans un quartier résidentiel aux portes de Vannes, proche commerces à seulement 3 kms de la gare et de l'hôpital, venez découvrir ce terrain de 1780 m² avec une façade d'environ 24 mètres.
La parcelle comprend 919 m² en zone UBB constructible offrant un coefficient au sol de 70 % et 861 m² en zone N.
Desservi en EAU, EDF, TAE et télécom en bordure de route.
Le terrain est libre de constructeur, laissant la possibilité de réaliser le projet de votre choix.

Honoraires d'agence à la charge du vendeur.
Bien non soumis au DPE. Les informations sur les risques auxquels ce bien est exposé, y compris l'obligation légale de débroussaillement, sont disponibles sur le site Géorisques : http://www.georisques.gouv.fr.
La présente annonce immobilière a été rédigée sous la responsabilité éditoriale de Mme Stephanie Cardin mandataire indépendant en immobilier (sans détention de fonds), agent commercial de la SAS I@D France immatriculé au RSAC de saint nazaire sous le numéro 753648708, titulaire de la carte de démarchage immobilier pour le compte de la société I@D France SAS.Informations LOI ALUR : Honoraires charge vendeur. (gedeon_6727_30822998)
Voir plus

Référence: 1703710
Honoraires à la charge du vendeur.
Barème des honoraires
Photo 1 - Terrain à SAINT-AVE
Photo 1
Photo 2 - Terrain à SAINT-AVE
Photo 2
Photo 3 - Terrain à SAINT-AVE
Photo 3
Photo 4 - Terrain à SAINT-AVE
Photo 4
Photo 5 - Terrain à SAINT-AVE
Photo 5
Géorisques

Les informations sur les risques auxquels ce bien est exposé sont disponibles sur le site Géorisques : www.georisques.gouv.fr

Ce site est protégé par hCaptcha Politique de confidentialité et Conditions d’utilisation s’appliquent.