Bénéficiez des services de nos partenaires locaux soigneusement sélectionnés
pour vous accompagner dans votre parcours d'achat immobilier

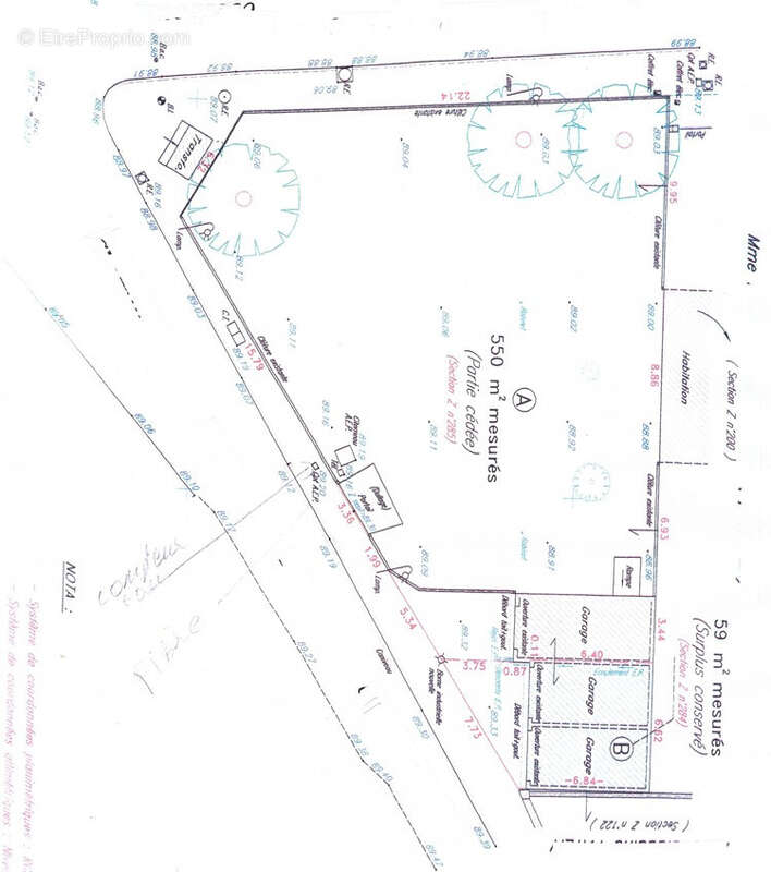
Terrain constructible avec garage Beaumont-du-Gâtinais (77)

— Beaumont-Du-Gatinais 77890 —
72 080 €
550 m²
jardin

Nos partenaires locaux
Situé dans la commune recherchée de Beaumont-du-Gâtinais, ce terrain plat d’environ 550 m2, constructible, offre un cadre idéal pour concrétiser votre projet de construction.
Le terrain dispose déjà de nombreux atouts rares, Garage existant, Compteurs d’eau, d’électricité et fibre en place Tout-à-l’égout réseaux en bordure de rue, facilitant l’implantation de votre future maison
Son emplacement et sa configuration en font une opportunité parfaite pour un projet résidentiel, dans un environnement calme tout en restant proche des commodités.
Voir plus

Référence: 20260202
Honoraires d'agence de 6% à la charge de l'acquéreur
Barème des honoraires
Terrain à BEAUMONT-DU-GATINAIS
Terrain à BEAUMONT-DU-GATINAIS
Terrain à BEAUMONT-DU-GATINAIS
Terrain à BEAUMONT-DU-GATINAIS
Terrain à BEAUMONT-DU-GATINAIS
Terrain à BEAUMONT-DU-GATINAIS
Terrain à BEAUMONT-DU-GATINAIS
Terrain à BEAUMONT-DU-GATINAIS
Géorisques

Les informations sur les risques auxquels ce bien est exposé sont disponibles sur le site Géorisques : www.georisques.gouv.fr

Ce site est protégé par hCaptcha Politique de confidentialité et Conditions d’utilisation s’appliquent.

En poursuivant votre navigation sans modifier vos paramètres, vous acceptez l'utilisation de cookies susceptibles de réaliser des statistiques de visite. Cliquez ici pour plus d'informations