Terrain à vendre de 614m² SAINT ESTEVE (66)

— Saint-Esteve 66240 —
227 000 €
614 m²

St Estève, à 5 minutes de Perpignan, avec toutes les commodités nécessaires : écoles, culture, sports, commerces...
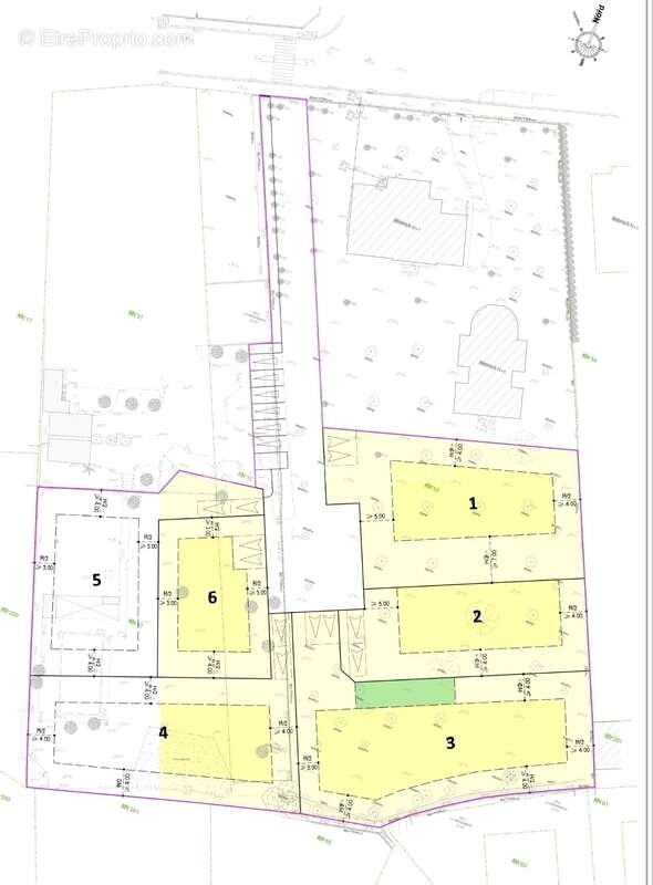
Joli terrain plat viabilisé de 614m² pour projet de construction d'une maison 4 faces en lotissement. Possibilité de bâtir jusqu'à 300 m² de surface plancher. PLUSIEURS PARCELLES DISPONIBLES
Idéal pour concrétiser votre projet de vie dans un environnement agréable et bien situé !

Vous avez pour projet de vous installer dans une petite ville proche de Perpignan, où il fait bon vivre ? N'attendez pas ce terrain est celui qu'il vous faut ! Les honoraires sont à la charge du vendeur.
Les informations sur les risques auxquels ce bien est exposé sont disponibles sur le site Géorisques : www. georisques. gouv. fr.

Contactez Laëtitia MARCHAND Entrepreneur Individuel, Agent commercial OptimHome (RSAC N°791 138 647 Greffe de PERPIGNAN) [Coordonnées masquées] (réf. 591448 )
Voir plus

Référence: 830033908263
Honoraires à la charge du vendeur.
Terrain à SAINT-ESTEVE
Terrain à SAINT-ESTEVE
Géorisques

Les informations sur les risques auxquels ce bien est exposé sont disponibles sur le site Géorisques : www.georisques.gouv.fr

Ce site est protégé par hCaptcha Politique de confidentialité et Conditions d’utilisation s’appliquent.