Bénéficiez des services de nos partenaires locaux soigneusement sélectionnés
pour vous accompagner dans votre parcours d'achat immobilier

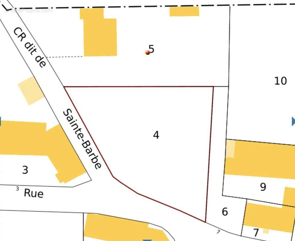
Terrain à Provins

— Provins 77160 —
36 000 €

Nos partenaires locaux
Charmant terrain constructible de 916 m² situé à Chalautre-la-Grande, dans un environnement calme et verdoyant, à seulement 15 minutes de Provins. Ce terrain, entièrement clôturé, offre une belle superficie permettant la construction d'une maison individuelle avec jardin. Il est situé en zone constructible selon le Plan Local d'Urbanisme en vigueur, ce qui garantit une faisabilité de projet dans le respect des règles locales d'urbanisme. Le terrain est non viabilisé, mais les réseaux d'eau, d'électricité, de télécommunications et d'assainissement passent à proximité, facilitant ainsi les démarches de raccordement. Son exposition et ses dimensions offrent de nombreuses possibilités d'aménagement. On visite ? [Coordonnées masquées]

Honoraires à la charge du vendeur. Les informations sur les risques auxquels ce bien est exposé sont disponibles sur le site Géorisques : georisques.gouv.fr.
Voir plus

Référence: VT376-JOYA75009
Honoraires à la charge du vendeur.
Barème des honoraires
Terrain à PROVINS
Terrain à PROVINS
Terrain à PROVINS
Géorisques

Les informations sur les risques auxquels ce bien est exposé sont disponibles sur le site Géorisques : www.georisques.gouv.fr

Ce site est protégé par hCaptcha Politique de confidentialité et Conditions d’utilisation s’appliquent.

En poursuivant votre navigation sans modifier vos paramètres, vous acceptez l'utilisation de cookies susceptibles de réaliser des statistiques de visite. Cliquez ici pour plus d'informations