Bénéficiez des services de nos partenaires locaux soigneusement sélectionnés
pour vous accompagner dans votre parcours d'achat immobilier

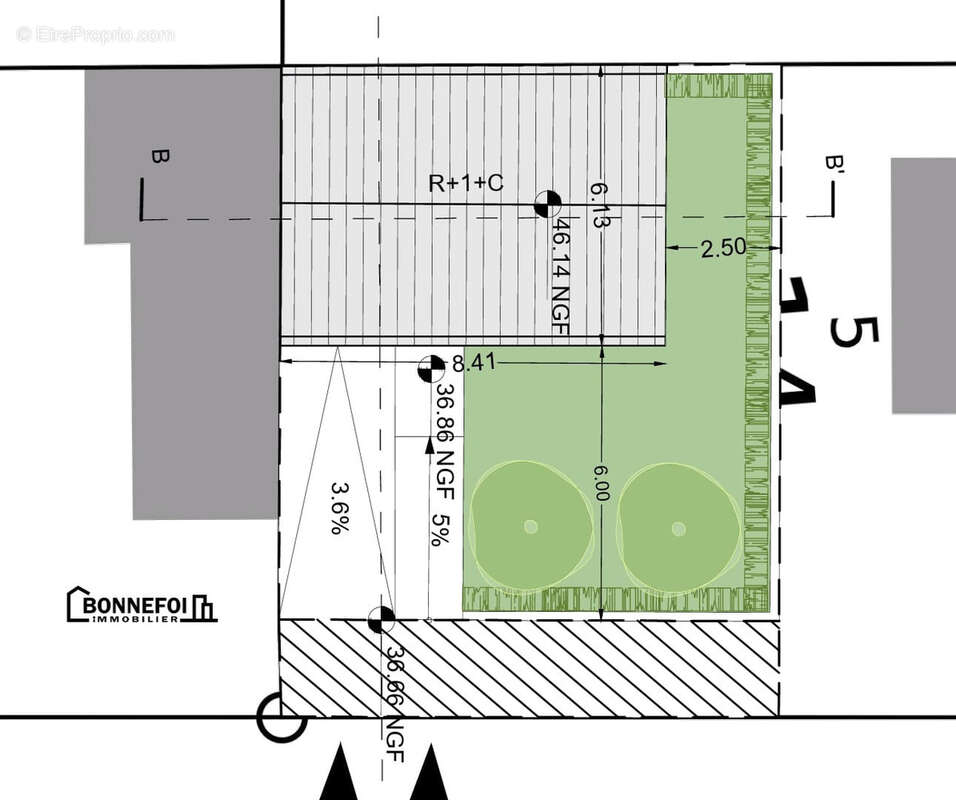
Projet de construction

— Champigny-Sur-Marne 94500 —
170 000 €
155 m²
jardin

Nos partenaires locaux
En EXCLUSIVITÉ - Notre Agence BONNEFOI IMMOBILIER vous propose un projet de construction dans le secteur du Maroc. Permis de construire en cours d'instruction pour une Maison type Mansard d'environ 92.80m2 habitables avec 3 chambres et un espace de vie d'environ 35.90m2, se rajoute la surface d'un garage.Parcelle d'environ 155m2. Bateau existant. A viabiliser. Dossier consultable à l'agence.
REF 666 - N'hésitez pas à nous contacter au [Coordonnées masquées] et demandez Jessica BONNEFOI. Votre Agence BONNEFOI IMMOBILIER - www.bonnefoi-immobilier.com
Voir plus

Référence: 666
Honoraires à la charge du vendeur.
Barème des honoraires
Terrain à CHAMPIGNY-SUR-MARNE
Terrain à CHAMPIGNY-SUR-MARNE
Terrain à CHAMPIGNY-SUR-MARNE
Géorisques

Les informations sur les risques auxquels ce bien est exposé sont disponibles sur le site Géorisques : www.georisques.gouv.fr

Ce site est protégé par hCaptcha Politique de confidentialité et Conditions d’utilisation s’appliquent.

En poursuivant votre navigation sans modifier vos paramètres, vous acceptez l'utilisation de cookies susceptibles de réaliser des statistiques de visite. Cliquez ici pour plus d'informations