Bénéficiez des services de nos partenaires locaux soigneusement sélectionnés
pour vous accompagner dans votre parcours d'achat immobilier

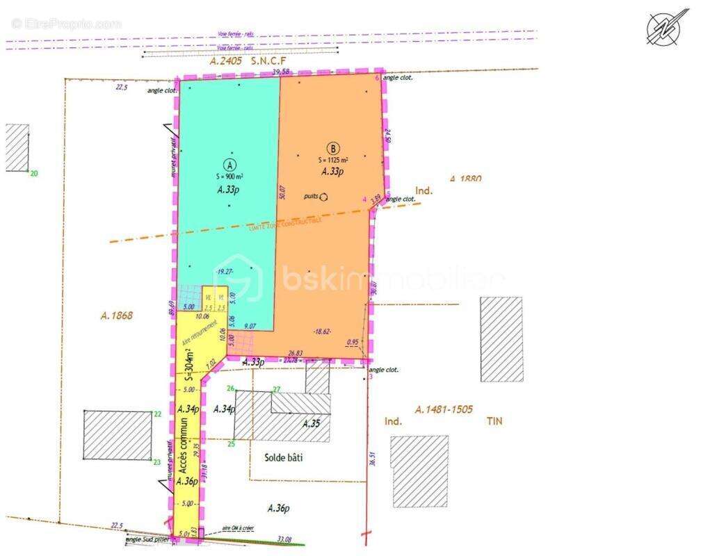
Terrain constructible proche centre coufouleux

— Coufouleux 81800 —
85 000 €
900 m²

Nos partenaires locaux
Situé sur la commune de Coufouleux, à seulement 500 mètres de la gare et à proximité immédiate des commerces, ce terrain plat de 900 m² offre un cadre idéal pour concrétiser votre projet de construction.

Implanté en bout de chemin d'accès, ce terrain se situe en zone U2 du PLU, facilitant la réalisation de votre projet de construction dans un cadre réglementaire défini, il est entièrement viabilisé. Le terrain est également inclus dans le périmètre des Bâtiments de France, impliquant le respect de certaines prescriptions architecturales.

Atout supplémentaire : une zone verte en fond de parcelle, classée non constructible, vient compléter l'ensemble. Celle-ci reste toutefois exploitable pour l'implantation d'annexes ou la réalisation d'une piscine, vous permettant d'imaginer un espace extérieur agréable et fonctionnel.

Une belle opportunité à découvrir sans tarder pour donner vie à votre future maison

Cette annonce référence 330977 vous est présentée par votre agent commercial BSK Immobilier MÉLANIE THOMAS (EI) immatriculé au RSAC de ALBI (81000) sous le numéro 51259396300022.

Prix du bien : 85 000,00 €
Prix du bien hors honoraires : 80 000,00 €
Honoraires TTC : 6,25 %
Les honoraires d'agence sont à la charge de l'acquéreur.

Non soumis au DPE.

Les informations sur les risques auxquels ce bien est exposé sont disponibles sur le site Géorisques : www.georisques.gouv.fr
Voir plus

Référence: 330977
Terrain à COUFOULEUX
Terrain à COUFOULEUX
Terrain à COUFOULEUX
Géorisques

Les informations sur les risques auxquels ce bien est exposé sont disponibles sur le site Géorisques : www.georisques.gouv.fr

Ce site est protégé par hCaptcha Politique de confidentialité et Conditions d’utilisation s’appliquent.